Discovering Halkidikis Underwater Charm with a Half-Day Guided Scuba Adventure
When I first read about the Sithonia: Half-Day Scuba Diving with 2 Guided Shore Dives, I immediately thought of how perfect it sounds for travelers craving a relaxed yet immersive introduction to Greece’s underwater world. This experience promises two guided dives along the stunning shores of Halkidikis, all within just four hours—ideal for those who want a taste of diving without a full-day commitment. What stood out most is the small group setting, limited to just six participants, which in my book means more personalized attention from experienced PADI instructors. Plus, all equipment is provided, so you just need to bring that sense of adventure and your swimsuit.
Two things I love about this experience are the focus on small groups and the inclusion of all dive gear. It feels much more relaxed than the typical large tour, allowing you to truly connect with your instructor and the scenery. Also, the fact that the dives are shore-based means no boat hassle—just walk into the water from a calm, accessible beach. On the flip side, a potential consideration is that it’s not suitable for children under 10, pregnant women, or those with recent surgeries, so it’s best suited for certified divers looking for a manageable, guided underwater outing.
Key Points / Takeaways

- Small Group Size: Limited to 6 participants, ensuring a personalized experience and direct interaction with instructors.
- All Equipment Included: Dive tanks, wetsuits, and accessories are provided, making it straightforward for your planning.
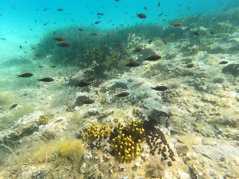
- Two Guided Shore Dives: Carefully selected sites offer vibrant marine life, from colorful fish to octopuses and intriguing rock formations.
- Flexible Schedule: Available daily at 9:00 and 15:00, with optional pickup service (arranged the day before).
- Underwater Photos and Videos: Capture your marine adventure for lasting memories.
- Ideal for Certified Divers: Not suitable for beginners or non-certified divers, but perfect for those with current certification seeking a relaxed underwater experience.
An In-Depth Look at the Experience

Ready to go deeper? More scuba adventures we love in Nikiti
Introduction and Booking
Booking through Diversity Diving Center ensures clarity and convenience, with options for reserve now, pay later—a thoughtful touch in case your plans shift. Before the activity, you’ll need to specify your last dive date, certification level, and provide your height, weight, and shoe size. This helps the staff prepare the right equipment, making for a smooth start. Remember to bring your dive certification (or verify online if you’re PADI certified), and, of course, your swimsuit and a towel.
Pickup and Location Logistics
The tour offers a pick-up service from several points along Sithonia Peninsula—like Ormos Panagias, Neos Marmaras, Nikiti, and others. Once booked, you’ll receive detailed pickup info, typically the day before. This is a real bonus if you’re unfamiliar with the area or want to avoid hassle. The total experience lasts about four hours, giving you plenty of time to enjoy the dives and some break time.
The Itinerary
The adventure begins with a brief safety briefing at Kalogria Beach, lasting about 15 minutes. This quick review sets the tone, making sure you’re comfortable with the plan and what marine life you might see. It’s clear from feedback that the guides, many of whom speak Arabic, English, and Greek, are professional and attentive.
Following the briefing, the first guided shore dive lasts around 50 minutes, taking you along a site renowned for its vibrant marine life. Expect to see colorful fish, sea sponges, and perhaps an octopus or two hiding in crevices. Many reviews highlight the “stunning underwater views,” and the fact that the sites are “easy-access” helps make the experience both relaxing and enjoyable.
After a 30-minute break with water and light refreshments—think apples and small bottled water—you’ll head out for the second dive of similar length. This second dive often surprises divers with new sights, which keeps the experience fresh and engaging.
More Great Tours NearbyUnderwater Experience
I love the way the guide explains local marine life and highlights interesting features of each site. Many reviewers have noted how knowledgeable and friendly the instructors are, providing personalized tips and ensuring safety. The underwater environment, with its colorful fish and rocky formations, offers plenty for viewers at all levels of certification to appreciate.
Post-Dive and Return
After the second dive, there’s a relaxed return to your pickup point and drop-off at your original location. For those who want to keep exploring, the experience serves as a wonderful introduction, possibly inspiring you to pursue further diving adventures in Greece or elsewhere.
Who This Experience Is Perfect For

This tour is a great pick for certified divers who want a relaxed, no-fuss check-in with underwater life in Halkidikis. It’s especially suited for those who appreciate small groups and personalized attention. If you’re traveling with someone who isn’t diving but wants a scenic beach experience, they can easily enjoy the nearby surroundings while you explore beneath the surface. It’s not suitable for children under 10 or non-certified divers, but for those with certification, this offers a fantastic value—two guided dives in crystal-clear waters, equipped and led by professionals.
Why It’s Worth Considering
At a relatively reasonable price point, this experience offers an authentic connection with the sea—guided by local experts who love sharing their knowledge. The inclusion of dive gear and underwater photos adds value, making it a memorable highlight of your trip. Plus, the ability to choose between morning and afternoon sessions helps fit this adventure into your broader travel plans.
Price and Logistics

While the precise price isn’t specified here, the value derives from the comprehensive package: two guided shore dives, all equipment, light refreshments, safety briefing, and professional supervision. Small groups and personalized attention maximize the quality of your experience. Remember, you need to be certified, and the activity is limited to 6 participants for optimal engagement.
The tour’s 4-hour duration strikes a nice balance—enough time to enjoy the dives without feeling rushed. The optional pickup adds convenience, especially if you’re staying outside the immediate beach areas, though you can also meet directly at Kalogria Beach if preferred.
Final Thoughts: Is This Tour for You?

If you’re a certified diver looking for a relaxed, guided experience along Halkidikis’ scenic shores, this half-day tour delivers excellent value. The small-group setting ensures personalized attention, and the inclusion of all gear makes logistics simple. It’s particularly appealing if you want to explore vibrant underwater life without the hassle of boat trips or full-day commitments.
However, if you’re not certified or traveling with young children, you might need to consider other options. The tour’s focus on calm, shore-based dives makes it a comfortable choice for those who prefer easy access points, and the friendly guides add a genuine local touch.
This experience strikes a fine balance between adventure and convenience, making it an ideal way to see Halkidikis’ underwater treasures without overcommitting your day or your budget.
FAQ

Do I need to bring my own dive gear?
No, all equipment is provided by the center, including tanks, wetsuits, and accessories, so you just need to bring your swimsuit and a towel.
Can I book this tour last minute?
Yes, but it’s best to check availability for your preferred time—morning or afternoon—and to make arrangements for pickup the day before.
Is the experience suitable for beginners?
This tour is only for certified divers, so if you’re not certified, you’ll need to look for beginner-friendly options elsewhere.
What should I do if I’ve not dived in a while?
Make sure your certification is current, and inform the guides of your last dive date. Small groups and professional supervision mean they can help you feel comfortable.
Can I take photos underwater?
Yes, the center offers underwater photos and small videos, so you can capture your marine adventure.
What if I have dietary restrictions?
Light refreshments are provided, typically including apples and water. If you have specific dietary needs, it’s best to inform the staff when booking.
Are there any restrictions I should be aware of?
Yes, the tour is not suitable for children under 10, pregnant women, or travelers with recent surgeries. Also, alcohol and drugs are not allowed before diving.
In the end, this guided shore diving experience offers a fantastic way to connect with Halkidikis’ underwater world—perfect for certified divers wanting a relaxed, personalized outing with stunning views and friendly guides.
You can check availability for your dates here: