Chalkidiki: Snorkeling Adventure in Sithonia is a straightforward yet rewarding way to explore Greece’s famous crystal-clear waters. Offered by Diversity Diving Center, this 3-hour guided trip combines comfort, natural beauty, and a chance to see marine creatures up close without the fuss of complicated logistics. It’s a particularly good choice if you’re seeking an active, family-friendly outing that’s easy to book and flexible in timing.
What I really like about this experience is how well everything is organized — from the gear quality to the hotel pickup, it’s all about making your time on the water smooth and enjoyable. Plus, the small group size (limited to six participants) means you get plenty of personal attention, which is increasingly rare but always appreciated. Another highlight is the detailed safety briefing and the chance to capture beautiful photos and videos of your underwater encounter—something that elevates the trip from just fun to genuinely memorable.
One possible consideration is the activity duration, which runs for around an hour of snorkeling — if you’re craving a longer underwater adventure, this might feel a bit brief. Also, note that the activity is not suitable for pregnant women or visually impaired individuals, and you’ll need to bring your own towel and sunscreen. But overall, these little points are minor compared to the convenience and quality provided.
Key points / Takeaways

- All-inclusive gear and transport make this a hassle-free option, especially for first-timers or those short on time.
- Small groups (up to six people) ensure personalized attention from guides and a more intimate atmosphere.
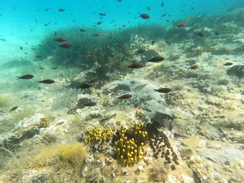
- The snorkeling location is a UNESCO-protected site with calm, shallow waters perfect for spotting marine life like octopuses, starfish, and reef fish.
- Professional guides like those from Diversity Diving Center are praised for their friendliness, clarity, and helpfulness, which makes beginners feel confident.
- Photos and videos taken during the trip provide lovely keepsakes without any extra cost.
- Flexible pickup options and multiple starting times (9:00 or 15:00) fit various schedules.
Exploring Sithonia’s Snorkeling Treasure Trove

When I think about snorkeling in Sithonia, I picture the clear waters, lively marine creatures, and the easy accessibility that makes it a perfect introduction to Greece’s underwater world. This experience is designed to keep things simple but rewarding. You don’t need prior experience or special training—just a sense of curiosity and a swimsuit.
You’ll start with a quick safety briefing—probably led by the friendly guide, whose name might be, say, “Maria” or “Yannis”—and get fitted with your gear, which is described as high quality. The snorkel equipment includes masks, snorkels, fins, boots, and wetsuits, so you stay comfortable while exploring. The guide’s role is key here; they’ll offer instructions to help everyone feel confident, especially if you’re a first-timer.
Once in the water, you’ll be floating just off a calm, sandy beach, with no boats needed—this is a peaceful spot to watch marine life in shallow, easy-to-navigate waters. As Jannette mentioned in her review, “The instructions were clear and the gear was of good quality. The experience was amazing!” Plus, the guide also took some beautiful pictures and videos, which you’ll appreciate later.
The highlight for many is spotting the vibrant marine life—octopuses, sea stars, colorful reef fish, and even sea urchins and anemones. It’s these small details that make snorkeling here special. The shallow waters mean it’s suitable for kids from age six up, making it a family-friendly outing.
You can also read our reviews of more tours and experiences in Nikiti.
Itinerary Breakdown: What to Expect at Each Stop

The tour begins with pickups from five conveniently located points: Metamorfosi, Agios Nikolaos, Nikiti, Neos Marmaras, and Vourvourou. This flexibility helps reduce travel stress and saves time, especially if you’re staying in the area.
Once you’re picked up, the group heads to Kalogria Beach for the safety briefing—an essential part of any snorkeling trip. Here, your guide will cover how to use the gear, what to watch out for, and safety tips to ensure everyone feels comfortable in the water.
Following the briefing, it’s time to hit the water for about an hour of snorkeling. The calm, shallow waters make it easy to float and observe marine life up close. You might see octopuses hiding in rocks, sea stars clinging to the seabed, or vibrant reef fish darting through the corals.
After snorkeling, the group is transported back to the original pickup points, with five drop-off locations chosen for your convenience. The entire experience is designed to be as seamless as possible, with round-trip transportation included.
Why the Location Matters: Kalogria Beach and the UNESCO Site

The snorkeling takes place at a beautiful, calm beach—Kalogria Beach—just minutes from the dive center. The waters here are renowned for their clarity, making visibility excellent and the experience more rewarding.
Importantly, the site is UNESCO-protected, which speaks to its ecological significance and pristine condition. That means you’re not just floating around in any old beach; you’re exploring a site that’s considered valuable enough to be protected, ensuring your marine encounters are within a healthy environment.
The shallow nature of the waters is ideal for beginners, families, or those simply wanting a relaxing float instead of a strenuous swim. Plus, the absence of boats in the immediate snorkeling zone reduces noise and disturbance, allowing for a more natural experience.
The Quality and Value of the Equipment and Service

The full set of snorkeling gear is high quality—comfortable masks, fins, wetsuits—and well-maintained, according to reviews. This makes a big difference for beginners, who might be nervous about uncomfortable equipment.
Transport is included, so you don’t have to worry about logistics or finding your way to the beach. The pickup service is available upon request—just remember to book the day before. The guides, often praised for their friendliness and professionalism, also take photos and videos, giving you excellent souvenirs without extra cost.
Pricing is quite reasonable considering all inclusions—gear, transport, a guide, safety instructions, and photos. The small group size enhances the value, making sure you get personalized attention and space to enjoy your time in the water.
More Great Tours NearbyWho Will Love This Snorkeling Adventure?

This experience is ideal for families, couples, or solo travelers looking for a hassle-free way to see underwater Greece without much prior planning. It’s perfect if you prefer a short, manageable outing rather than a full-day adventure. The minimum age of six makes it accessible for children, and the shallow waters mean safety and comfort are prioritized.
If you’re someone curious about marine life but not keen on diving, this trip offers a gentle, guided introduction. Those who appreciate good guides and quality equipment will find this a worthwhile investment.
Price and Logistics: Good Value for a Memorable Experience

At a modest price, you get a lot: transport, gear, guided instruction, and photos—all in just three hours. When you consider the convenience of pickup, the small group setting, and the chance to see marine creatures in their natural habitat, the value becomes clear.
The activity runs twice daily (9:00 and 15:00), giving flexibility. It’s worth noting that you should be ready outside your hotel—look for the branded vehicle or the guide wearing a distinctive shirt. Remember to bring sunscreen, a towel, and beachwear—towels are not included.
The Sum Up: Who Should Consider This Snorkeling Tour?

This snorkeling adventure is best suited for travelers who want a relaxed, all-inclusive experience with expert guidance. It’s especially good for families with young children, first-time snorkelers, or anyone who prefers small groups and personal attention. The pristine waters, friendly guides, and the opportunity to see marine life up close make it an appealing choice for a half-day escape from busy sightseeing.
If you’re after something easy, safe, and authentically beautiful, this trip to Sithonia offers excellent value and memorable sights without the hassle. It’s a gentle introduction to Greece’s underwater treasures, wrapped in comfort and convenience.
Frequently Asked Questions

How long does the snorkeling activity last?
The snorkeling itself lasts about one hour, but the entire experience, including safety briefings and transfers, takes approximately 3 hours.
What are the pickup options?
Pickup is available from five locations: Metamorfosi, Agios Nikolaos, Nikiti, Neos Marmaras, and Vourvourou. Pickup is arranged the day before and confirmed via message or call.
Is it suitable for children?
Yes, the minimum age is 6 years old. Kids will need to be accompanied by an adult.
What should I bring?
Bring a sun hat, towel, sunscreen, and beachwear. The tour provides all necessary snorkeling gear and wetsuits.
Can I book the tour without paying immediately?
Yes, you can reserve now and pay later, which offers flexibility in planning your trip.
Is the activity wheelchair accessible?
Yes, the experience is wheelchair accessible.
What languages are guides available in?
Guides speak English, Greek, and Arabic.
This Sithonia snorkeling trip offers a perfect blend of ease, natural beauty, and personal attention. For those seeking a gentle, scenic introduction to Greece’s underwater world, it’s a highly recommended option.
You can check availability for your dates here: