Nestled off the coast of Oman, the Daymaniyat Island Natural Reserve offers a captivating blend of natural wonders and marine life encounters. This protected haven invites adventurous travelers to embark on a dolphin watching excursion, where they can witness these majestic creatures in their natural habitat. But the experience doesn’t end there – guests can also enjoy the vibrant underwater world through snorkeling, all while enjoying the tranquility of the pristine beaches. Whether you’re a nature enthusiast or simply seeking a unique escape, this tour promises to deliver an unforgettable adventure that will leave you eager to uncover more.
Key Points

- Daymaniyat Island Natural Reserve offers a unique exploration of Oman’s landscapes, featuring a 5-hour tour with dolphin watching and snorkeling activities.
- The tour includes a picnic lunch, snorkeling equipment, and access to the protected reserve, providing a comprehensive and worry-free experience.
- Guests can expect to witness frequent dolphin sightings and capture captivating photographic opportunities, as well as explore the pristine beaches and marine life.
- The tour is well-organized, with a maximum group size of 20 guests, ensuring a personalized and easy-to-manage experience.
- While the tour is not recommended for individuals with certain medical conditions, it has received consistently high reviews for its stunning scenery, host hospitality, and overall quality.
Overview and Experience
The Daymaniyat Island Natural Reserve and Dolphin Watching tour offers visitors a unique opportunity to explore Oman’s pristine natural landscapes and encounter marine wildlife up close.
With 18 reviews and a 5.0 rating, this popular tour takes travelers on a 5-hour adventure that includes dolphin watching, snorkeling, beach visits, and a picnic lunch.
The tour accommodates a maximum of 20 guests, providing an intimate and personalized experience.
Highlights include the chance to spot dolphins in their natural habitat, marvel at the stunning natural scenery, and enjoy a delicious picnic amid the tranquil island setting.
Whether you’re a nature enthusiast or simply seeking an unforgettable day in Oman, this tour isn’t to be missed.
Ready for more playful encounters? More dolphin tours we love in Muscat
Inclusions and Amenities

This tour includes a variety of amenities to enhance the overall experience. Bottled water, use of snorkeling equipment, and Dimaniyat permits are all provided for guests’ convenience. Plus, a picnic lunch box with both vegetarian and non-vegetarian options is included, along with soft drinks. All fees and taxes are covered in the tour price, ensuring a worry-free day. Travelers will also have access to restroom facilities on board and can opt for hotel transfers within Muscat city, though an extra cost applies for more distant pick-up locations.
| Inclusions | Details |
|---|---|
| Bottled Water | Provided for hydration during the tour |
| Snorkeling Equipment | Supplied for exploring the marine life |
| Dimaniyat Permits | Required for accessing the protected reserve |
| Picnic Lunch Box | Offers both vegetarian and non-vegetarian options |
Meeting Point and Pickup

Travelers meet at Sidab Sea Tours on Al Saidiya Street in Muscat, where the tour departs from. Guests should arrive 15 minutes prior to the 8:30 AM start time to ensure a prompt departure.
Hotel pickup is available upon request, though an additional fee may apply for more distant transfers. Ample parking facilities are provided for those driving themselves.
The meeting point is conveniently located, allowing easy access for participants. Pickup service is offered as an added convenience, though guests should be aware of any extra charges for farther hotel locations.
With the specified arrival time, the tour can commence smoothly and make the most of the allotted 5-hour experience. Ample parking on-site ensures a hassle-free start to the Daymaniyat Island adventure.
Health and Safety Considerations

While the Daymaniyat Island tour offers a wealth of natural experiences, there are a few important health and safety considerations to keep in mind.
For instance, the tour isn’t wheelchair accessible, as the terrain and beach access may prove challenging for those with mobility issues. Plus, the tour isn’t recommended for travelers with back problems, pregnant individuals, or those with serious medical conditions, as the activities could potentially exacerbate any existing conditions.
Other important guidelines include:
- Beach access is prohibited from May 1st to October 31st.
- Travelers should exercise caution and follow the instructions of the tour guides.
- Proper sun protection and hydration are essential during the outdoor activities.
- Participants should disclose any medical concerns prior to the tour.
Customer Reviews and Feedback

Guests who have experienced the Daymaniyat Island Natural Reserve and Dolphin Watching tour have overwhelmingly praised the stunning scenery, frequent dolphin sightings, and excellent quality of the provided picnic lunch. Reviewers consistently highlight the tour’s exceptional organization and the warm hospitality extended by the hosts. The tour has earned an impressive 5.0 rating from 18 reviews, with guests expressing deep gratitude for the unforgettable experience.
| Review Highlights | Positive Feedback |
|---|---|
| Breathtaking views | "Absolutely amazing experience!" |
| Engaging dolphin encounters | "The lunch was delicious and the staff very friendly." |
| Well-organized tour | "Highly recommended for anyone visiting Oman." |
The tour operator has been quick to respond to feedback, thanking guests for their valuable input and encouraging them to return for future visits.
- Mountain, Desert & Coastal Tour (03 Days / 02 Nights)
- Half Day Private Muscat City Afternoon Tour
- Private Day Trip to Nizwa, Jabal Akhdar (Green Mountain) & Birkat Al Moz
- Full Day Tour to Nizwa Souq, Castle & Fort, Barakat Al Mouz
- Dolphin Watching and Snorkeling Activity in Muscat
- Private Historical Tour – Nizwa Fort – Nizwa Souq – Bahla Fort – Jabreen Castle
Dolphin Watching Highlights

One of the highlights of the Daymaniyat Island Natural Reserve tour is the opportunity to witness dolphins in their natural habitat. Guests are often captivated by these majestic creatures as they playfully swim alongside the boat, providing an up-close and unforgettable encounter with marine life.
The dolphin watching experience on this tour is truly exceptional, allowing visitors to:
- Observe the dolphins’ graceful movements and acrobatic displays as they leap out of the water
- Listen to their distinctive clicks and whistles, which are part of their complex communication system
- Gain a deeper appreciation for the importance of preserving the delicate marine ecosystem
- Create lasting memories through breathtaking photographs and videos of the dolphins in their natural environment
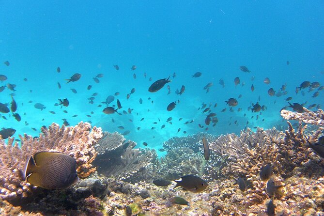
Snorkeling and Beach Activities

The Daymaniyat Island Natural Reserve also offers visitors the opportunity to explore the pristine beaches and engage in snorkeling activities, providing a chance to enjoy the vibrant underwater world.
The tour includes the use of high-quality snorkeling equipment, allowing guests to effortlessly dive beneath the surface and witness the diverse marine life.
Visitors can swim alongside schools of colorful fish, observe the intricate coral formations, and discover the hidden wonders of the Omani coastline.
Whether you’re a seasoned snorkeler or a first-time adventurer, the Daymaniyat Islands promise an unforgettable experience of connecting with the natural beauty that lies beneath the waves.
Tour Duration and Group Size

The Daymaniyat Island Natural Reserve and Dolphin Watching tour lasts approximately 5 hours, allowing visitors ample time to explore the island’s captivating landscapes and spot the elusive dolphins.
The tour caps group sizes at a maximum of 20 travelers, ensuring a more personalized and intimate experience. This group size allows for easy maneuverability, enhanced visibility, and a more interactive encounter with the natural wonders of the Daymaniyat Islands.
Some of the highlights visitors can expect during the tour include:
- Witnessing dolphins playfully swimming and leaping in their natural habitat
- Snorkeling in the crystal-clear waters to discover the vibrant marine life
- Relaxing on the pristine beaches and enjoying a delicious picnic lunch
- Taking in the serene and untouched beauty of the Daymaniyat Island Reserve.
Frequently Asked Questions
Is There a Minimum Age Requirement for the Tour?
There is no minimum age requirement for the tour. However, it’s not recommended for young children or travelers with special medical conditions. It’s important to check with the tour operator for any age restrictions.
Can We Bring Our Own Snorkeling Equipment?
Guests can bring their own snorkeling equipment if they prefer. However, the tour includes the use of high-quality snorkeling gear provided by the operator. Bringing your own equipment isn’t necessary, but you’re welcome to use it if you’d like.
Are There Any Additional Costs Not Included in the Package?
The package includes bottled water, snorkeling equipment, permits, lunch, and soft drinks. However, there may be additional costs for hotel transfers outside of Muscat city or for any optional activities not specified in the inclusions.
Can the Tour Be Customized or Personalized?
The tour can be customized or personalized to an extent. While the core activities and inclusions are set, the host may accommodate special requests like dietary preferences or private transportation for an additional fee. Guests should inquire about personalization options when booking.
What Is the Cancellation Policy for the Tour?
The tour’s cancellation policy allows for full refunds if canceled at least 48 hours prior to the start time. Last-minute cancellations within 48 hours are subject to a 50% charge. Guests are advised to review the policy carefully before booking.
Recap
Daymaniyat Island Natural Reserve offers a captivating dolphin watching experience amidst Oman’s stunning landscapes.
The tour includes snorkeling equipment, a picnic lunch, and all necessary permits, providing a personalized and unforgettable adventure.
With a 5-hour duration and a group size limited to 20 participants, visitors can witness dolphins in their natural habitat, explore vibrant marine life, and relax on pristine beaches, making it a must-visit destination for nature enthusiasts.
More Dolphin Watching Tours in Muscat
More Tour Reviews in Muscat
Not for you? Here's more things to do in Muscat we have recnetly reviewed
- 2 Days and 1 Night Private Tour in Wadi Shab to Wahiba Sands Desert
- Muscat City Tour With Omani Guide (Private).
- Visit Wadi Shab for a Full Day From Muscat
- Private Day Trip to Nizwa & Jabal Shams (The Grand Canyon of Oman)
- Wadishab and Bhima Sink Hole (Sharing Tours)
- Private Half-Day Muscat City Tour
- Snorkelling Tours to Daymaniyat Island
- Private Full-Day Wadi Shab and Bimmah Sinkhole Tour
- Private Full-Day Wadi Shab and Bimmah Sinkhole Tour
- Snorkeling Experience at Ad Daymaniyat Islands in Muscat
- Daymaniyat Islands Snorkeling Half-Day Tour
- Muscat City Tours Full Day Private
